Presented by Robert J. Iio Personal Real Estate Corporation — Team 110 RE/MAX Real Estate (Kamloops).

(250) 851-3110
info@team110.com
Team 110 | Your Kamloops REALTOR®

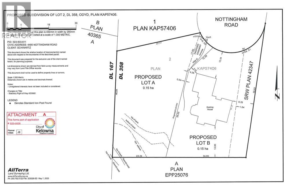
4495 Nottingham Road Lot# 2 Kelowna, British Columbia V1W 1V1

$1,250,000

Awarded “Best Urban Forest” in Kelowna for 2025, this proposed 0.37-acre lot offers a rare opportunity to build in the heart of the Lower Mission. Set on a quiet cul-de-sac and surrounded by mature trees, this future homesite blends natural beauty with urban convenience. RU1 zoning allows for up to 4 dwelling units (with City approval), and the site may support a walkout design. Sawmill Creek borders the south boundary, adding privacy and charm. Just a short walk to Sarsons Beach, DeHart Park, H2O Centre, top-rated schools, and local shops. Subdivision is in progress and the lot is being sold subject to final registration. PLR and DCCs are based on a single-family home. Higher density may trigger additional fees and servicing costs. The current owner will finalize the subdivision and arrange servicing. This is a unique chance to build in one of Kelowna’s most established and desirable neighborhoods. (id:61048)

Property Details

MLS® Number 10380376
Property Type Vacant Land
Neigbourhood Lower Mission
Road Type Paved Road

Building

Type Other
Utility Water Municipal Water

Land

Acreage No
Size Irregular 0.37
Size Total 0.37 Ac|under 1 Acre
Size Total Text 0.37 Ac|under 1 Acre

Utilities

Electricity Available
Natural Gas Available
Sewer Available
Water Available

https://www.realtor.ca/real-estate/29504161/4495-nottingham-road-lot-2-kelowna-lower-mission

Contact Us

Contact us for more information

Generating Captcha

Blake Hilts

(250) 801-1948
simpsonrealtors.com/
www.facebook.com/blakehiltsrealtor
www.instagram.com/blakehiltsrealtor/

Royal LePage Kelowna
#11 - 2475 Dobbin Road
West Kelowna, British Columbia V4T 2E9

(250) 768-2161
(250) 768-2342

Todd Simpson
Personal Real Estate Corporation

(250) 826-7253
www.simpsonrealtors.com/

Royal LePage Kelowna
#11 - 2475 Dobbin Road
West Kelowna, British Columbia V4T 2E9

(250) 768-2161
(250) 768-2342

Kent Simpson
Personal Real Estate Corporation

(778) 363-8384
www.simpsonrealtors.com/

Royal LePage Kelowna
#11 - 2475 Dobbin Road
West Kelowna, British Columbia V4T 2E9

(250) 768-2161
(250) 768-2342

Your Favourites

 

No Favourites Found